Influence on Shallow Groundwater by NH-4-N in Polluted River
-
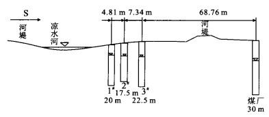
摘要: 氨氮是目前地表水和地下水的一个重要污染源.室内试验选用3种天然砂土作为渗透介质, 以生活污水模拟污染河水, 经过近1 0个月的土柱试验, 发现氨氮在粗砂中第1 7天达吸附饱和, 第1 8— 1 4 0天去除率小于1 0 %, 在中砂中第1 30—1 4 0天吸附饱和, 以后均发生解吸出水浓度大于进水浓度.野外实验凉水河的氨氮浓度为4 6.86mg/L和2 6.95mg/L时, 地下水的氨氮浓度均小于1.1 0mg/L, 表明凉水河对地下水的实际影响不如室内大, 原因是底泥、河床下部渗透介质的厚度和岩性以及河水渗漏量的影响.排污河还清试验表明, 排污河清淤、灌入清水后, 会很明显地把排污河下部渗透介质中的氨氮带到地下水中, 造成地下水的二次污染.Abstract: NH4-N pollution in surface water and groundwater is currently very severe. Experiment simulation of NH4-N migration was carried out in a column filled with three kinds of natural sand under the reflux of domestic sewage. Adsorption saturation of NH4-N in the column was reached within 17 days for the coarse sand and 130-140 days for the medium sand, suggesting the easiness of NH4-N migration to groundwater. However, the field test in Liangshui River and its groundwater is incompatible with the experimental observation. When the concentration of NH4-N reached 46.86 and 26.95 mg/L in Liangshui River, the groundwater has a NH4-N concentration of less than 1.10 mg/L. The little influence of Liangshui River on the groundwater NH4-N was attributed to the bottom mud, the thickness and character of the infiltration media underlying the river bed as well as the seepage quantity of the river. Importantly, the NH4-N absorbed by the penetration media underlying the sewage-received river would be transported into the groundwater after addition of clean water and cleanup of the mud, causing a secondary pollution of groundwater.
-
Key words:
- sewage-received river /
- ammonia nitrogen /
- groundwater
-
表 1 砂土物理化学性质指标
Table 1. Physico-chemical parameters of sands
表 2 凉水河及各井氨氮浓度(2002- 06- 10)
Table 2. Concentration of nitrogen in Liangshui River and wells
表 3 1#井抽水氨氮浓度变化
Table 3. Concentration of ammonia nitrogen while pumping in well 1#
表 4 2#井抽水氨氮浓度变化
Table 4. Concentration of ammonia nitrogen while pumping in well 2#
表 5 土中NH4-N吸附量对比
Table 5. Adsorption quantity of ammonia nitrogen in soils
-
Liu, H. Z., Lu, X. Y., 2001. Comparison on treatment of polluted rivers in China and other countries. World Environ. , 4: 27-30(in Chinese with English abstract). Mercado, A., Libhaber, M., Soares, M. I. M., 1988. In situ biological groundwater denitrification: Concepts and preliminary field tests. Wat. Sci. Tech. , 20(3): 197-209. doi: 10.2166/wst.1988.0099 Stauffer, J., 2000. Water crisis-Method of solving fresh water pollution. Science Press, Beijing, 38-40(in Chinese). Wang, M., Wu, Y. F., Zhong, Z. S., et al., 1993. Rapid infiltration soil treatment for sewage. Geological Publishing House, Beijing, 13-15(in Chinese). 刘鸿志, 卢雪云, 2001. 中外河流污染治理比较. 世界环境, 4: 27-30. https://www.cnki.com.cn/Article/CJFDTOTAL-SJHJ200104015.htm Stauffer, J., 2000. 水危机——寻找解决淡水污染的方案. 北京: 科学出版社, 38-40. 汪民, 吴永锋, 钟佐, 等, 1993. 污水快速渗滤土地处理. 北京: 地质出版社, 13-15. -




下载: